After Super Typhoon Mangkhut blew through the Philippines and Hong Kong, another typhoon, Trami, is rapidly intensifying over the weekend and rocketing from a tropical storm to the equivalent of Category 4 hurricane in just 24 hours and is coming towards Taiwan.
According to a report on Monday, September 24, super typhoon Trami is forecasted to strengthen even more and could stay like that as it approaches Taiwan and some far southern islands of Japan later this week.
The Japanese Meteorological Agency predicted that the storm will hover above the super typhoon status. Moreover, earlier forecasts suggested that Taipei could take a direct hit from Trami. The typhoon could also move slowly between Taiwan and southern Japan.
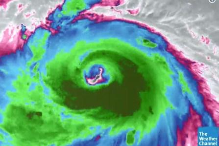
"That said, a few smaller land masses are in play - including the Japanese island of Miyakojima, home to more than 50,000 people. The city may face a dead-on impact when the storm arrives Friday. By then, Trami's forward motion will slow to a crawl, and extreme eyewall winds could batter the island for hours. The storm will eventually make a run for Shanghai while weakening. The Philippines - where the storm is known locally as Paeng - is in the clear for this one. The storm underwent a breathtaking eyewall replacement cycle late Monday night Eastern time, its pinhole eye shriveling up before giving way to the massive central clearing," the Washington Post reported.
Wild #eyewall replacement in Super Typhoon #Trami pic.twitter.com/T21DXEJHlj
— Stu Ostro (@StuOstro) September 24, 2018









